Dettaglio Avviso

ID AVVISO: 32735

Pubblicato il 09/01/2019 13:00:24

Delegato alla vendita: ANTONINO PRIVITERA

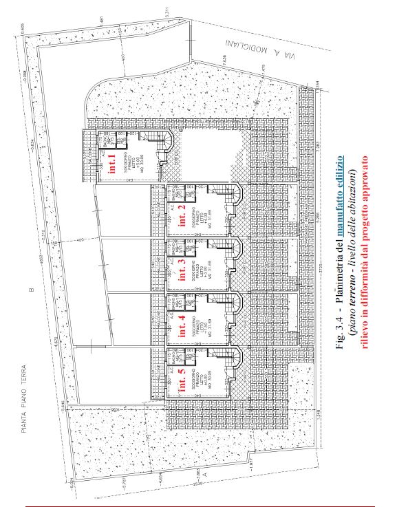
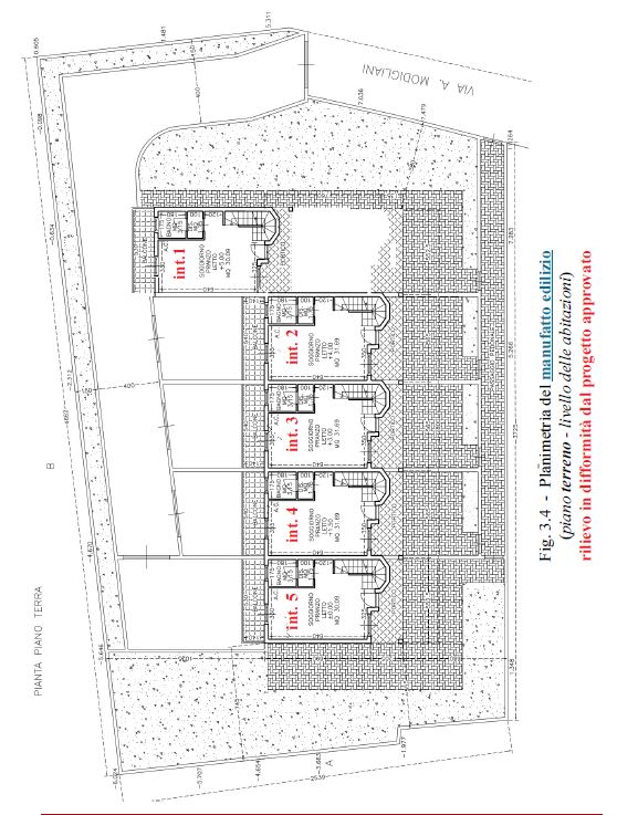
Descrizione: lotto unico piena proprietà Guidonia Montecelio (Roma), località “Pichini” Via Amedeo Modigliani s.n.c., terreno edificabile con sovrastanti alcuni manufatti edilizi in previsione della costruzione di cinque villette a schiera. Riportato nel Catasto Terreni del Comune di Guidonia Montecelio, come segue: - al foglio 24, particella 246, seminativo 4, are 09 ca 85, reddito dominicale Euro 2,03, reddito agrario Euro 1,25 - al foglio 24, particella 158, ente urbano, are 07 ca 00.

Prezzo dell'avviso: € 111.600,00

Superficie Riferimento: 985

Vendita con prelazione: Non Specificato

Trattativa Riservata: No

Data ultimo aggiornamento: 25/02/2019 12:30:00

Esito: ESITO N.D.

25/02/2019 Vendita
12:30:00Ora Vendita
11/02/2019 11:00:00Inizio Raccolta offerte
22/02/2019 13:00:00Fine Raccolta offerte
foto1

Tribunale:Roma

Tipologia di procedura:Procedure Concorsuali

Numero Procedura:633

Anno Procedura:2012

Numero Lotto:UNICO

Rito:Nuovo Rito Fallimentare

Cronologico ordinanza:1

Data ordinanza:03/12/2018


Giudice: CATERINA BORDO

Delegato alla Vendita: ANTONINO PRIVITERA

CF: PRVNNN60C10F158X

Telefono: 068082881

Curatore: Carmela Migliazzo

CF: MGLCML63R60G273N

Telefono: 063231146

Descrizione:AVVISO DI VENDITA DI BENI IMMOBILI Tribunale di Roma - Sezione Fallimentare Fallimento n. 633/2012 della Camerini e Monti Costruttori S.r.l. dichiarato con sentenza resa in data 12 novembre 2012 G.D. Cons. Dott.ssa Caterina Bordo XI° VENDITA SENZA INCANTO Il Notaio Antonino PRIVITERA annuncia che il giorno 25 febbraio 2019 dalle ore 12:30 a seguire, presso il suo studio in Roma, Via Emilio De' Cavalieri 7, avrà luogo la vendita del seguente immobile: DESCRIZIONE DEGLI IMMOBILI UNICO LOTTO compendio immobiliare sito in Comune di Guidonia Montecelio, (Roma) località "Pichini" Via Amedeo Modigliani senza numero civico costituito da un terreno edificabile con sovrastanti alcuni manufatti edilizi eseguiti (in parziale difformità) a fronte del permesso di costruire n. 48 del 12 febbraio 2008 che prevede la costruzione di n. 5 villette a schiera ad uso residenziale. I manufatti edilizi eseguiti consistono in: opere di scavo e reinterro; rilevante opera di consolidamento del terreno di sedime - realizzata attraverso palificazione, previa consulenza geologica; opere di fondazione; solaio dei garages Riportato nel Catasto Terreni del Comune di Guidonia Montecelio, come segue: - al foglio 24, particella 246, seminativo 4, are 09 ca 85, reddito dominicale Euro 2,03, reddito agrario Euro 1,25 in ditta Camerini e Monti Costruttori S.r.l. con sede in Roma; - al foglio 24, particella 158, ente urbano, are 07 ca 00; Il tutto meglio identificato in atti. PREZZO BASE Euro 111.600,00 (centoundicimilaseicento virgola zero zero). Rialzo minimo Euro 5.000,00 (in caso di gara tra più offerenti).

Notaio Banditore:ANTONINO PRIVITERA

Metodo Asta:Asta Tradizionale

Luogo svolgimento Asta: ROMA, VIA EMILIO DE' CAVALIERI N.7

Data e Ora svolgimento Asta: 25/02/2019 12:30:00

Data e Ora inizio presentazione offerte: 11/02/2019 11:00:00

Data e Ora fine presentazione offerte: 22/02/2019 13:00:00

Luogo dove presentare l'offerta:ROMA, VIA EMILIO DE' CAVALIERI N.7

Stato asta: Asta in corso

Cauzione:€ 11.160,00

Modalità deposito cauzione:ASSEGNO CIRCOLARE

Rialzo minimo prezzo base asta senza incanto:€ 5.000,00

Tipologia Asta:Principale

Modalità Asta:Senza Incanto

Notaio asta residuale:ANTONINO PRIVITERA

Data asta residuale:25/06/2019 00:00:00

http://venditepubblichenotarili.notariato.it

https://avvisinotarili.notariato.it

https://www.avvisinotarili.notariato.it

http://avvisinotarili.notariato.it

località “Pichini” Via Amedeo Modigliani s.n.c. - 00012 Guidonia Montecelio (Roma)

Superficie: 985 mq
Descrizione: lotto unico piena proprietà Guidonia Montecelio (Roma), località “Pichini” Via Amedeo Modigliani s.n.c., terreno edificabile con sovrastanti alcuni manufatti edilizi in previsione della costruzione di cinque villette a schiera. Riportato nel Catasto Terreni del Comune di Guidonia Montecelio, come segue: - al foglio 24, particella 246, seminativo 4, are 09 ca 85, reddito dominicale Euro 2,03, reddito agrario Euro 1,25.
Dettagli Bene
Tipo immobile urbano:Terreno Edificabile
Stato immobile:Libero
Diritto:Proprietà
Quota diritto: 1/1
Identificativo catastale:Definitivo
Foglio: 24
Particella 1:246
Classato:Si
Superficie:985
Stato immobile:Libero
Allegati

località “Pichini” Via Amedeo Modigliani s.n.c. - 00012 Guidonia Montecelio (Roma)

Superficie: 700 mq
Descrizione: lotto unico piena proprietà Guidonia Montecelio (Roma), località “Pichini” Via Amedeo Modigliani s.n.c., terreno edificabile con sovrastanti alcuni manufatti edilizi in previsione della costruzione di cinque villette a schiera. Riportato nel Catasto Terreni del Comune di Guidonia Montecelio, come segue: - al foglio 24, particella 158, ente urbano, are 07 ca 00.
Dettagli Bene
Tipo immobile urbano:Terreno Edificabile
Stato immobile:Libero
Diritto:Proprietà
Quota diritto: 1/1
Identificativo catastale:Definitivo
Foglio: 24
Particella 1:158
Classato:Si
Superficie:700
Stato immobile:Libero
Allegati

Richiedi Informazioni

Hai domande su come partecipare
alle aste telematiche giudiziarie?

Inviaci un messaggio

Ufficio Aste e Avvisi Gestore Notartel S.p.A. Società informatica del NotariatoSocietà Benefit Via G.V. Gravina, 4 - 00196 Roma E-mail: gestorenotartel@notariato.it PEC: gestorevendite@postacertificata.notariato.it Tel. 06 36769500 (call center)